Dernière mise à jour : le 04/12/2025 à 10:18
icône Logo CatNat s'abonner

ALERTES EN COURS

  • 04 au 13/12 : alerte aux fortes pluies du centre au Sud-est du Brésil
  • 04 au 07/12 : alerte vague de froid pour le quart Nord-Ouest des USA et le Québec
  • 02 et 03/12 : alerte aux fortes pluies et chutes de neige dans le Sud-Est

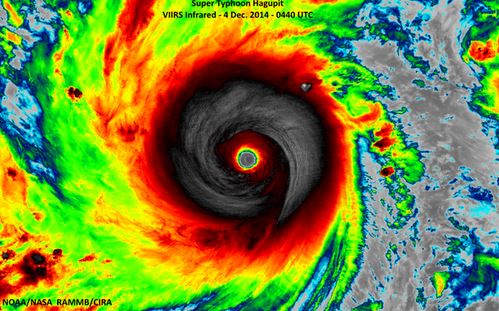
09/12 : Hagupit, typhon rétrogradé au rang de tempête tropicale a déferlé pendant trois jours sur les Philippines et a fait 27 morts mais les millions d'habitants de Manille n'ont pas trop été affectés.

S'identifier ou s'abonner pour lire la suite

Dernières actualités des risques

Newsletter CATNAT Info

Recevez GRATUITEMENT tous les samedis les articles publiés durant la semaine écoulée grâce à notre lettre d'information "CATNAT Info"

Statistiques base BD CATNAT

Nombre d’événements recensés depuis 2001 (vu au 03/12/2025)
  • En France / DOM : 2.182
  • Dans le monde : 22.742
Nombre de victimes recensées depuis 2001 (vu au 03/12/2025)
  • En France / DOM : 26.084
  • Dans le monde : 1.707.233
Coût depuis 2001 en millions de $ (vu au 03/12/2025)
  • En France / DOM : 95.441
  • Dans le monde : 5.100.172
Accès à la BD CATNAT
Statistiques en temps réel

CATNAT SUR X

F.A.Q Actualité des catastrophes naturelles

Questions fréquentes relatives à la veille d'actualité des événements

A quand remonte l'historique du recensement des événements répertoriés sur le site ?

Comment rechercher un événement précis ?

Comment sont diffusées vos informations en dehors du site internet Catnat.net ?

Est-il possible de se créer sa propre veille personnalisée d'actualité ?

Quel est le tarif d'une veille personnalisée d'actualité ?

Quelle est la fréquence de mise à jour des informations sur les événements ?

Quelles sont les sources utilisées pour le référencement des événements ?

Quels sont les critères entrant en compte pour qu'un événement soit référencé ?