Dernière mise à jour : le 05/12/2025 à 14:56
icône Logo CatNat s'abonner

ALERTES EN COURS

  • 04 au 13/12 : alerte aux fortes pluies du centre au Sud-est du Brésil
  • 04 au 07/12 : alerte vague de froid pour le quart Nord-Ouest des USA et le Québec
  • 02 et 03/12 : alerte aux fortes pluies et chutes de neige dans le Sud-Est

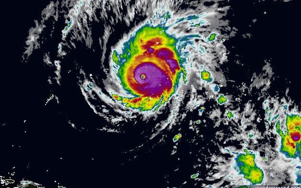
05/04 : Le typhon Maysak a été rétrogradé en dépression tropicale en touchant les côtes du nord-est des Philippines où plus de 25.000 personnes avaient été évacuées par précaution. Maysak, qui a fait au moins cinq morts et des milliers de sans-abris en balayant la Micronésie dans le Pacifique ouest, est arrivé à minuit par la pointe nord de l'île de Luzon avec des vents modérés de 55 km/h.

S'identifier ou s'abonner pour lire la suite

Dernières actualités des risques

Newsletter CATNAT Info

Recevez GRATUITEMENT tous les samedis les articles publiés durant la semaine écoulée grâce à notre lettre d'information "CATNAT Info"

Statistiques base BD CATNAT

Nombre d’événements recensés depuis 2001 (vu au 04/12/2025)
  • En France / DOM : 2.183
  • Dans le monde : 22.745
Nombre de victimes recensées depuis 2001 (vu au 04/12/2025)
  • En France / DOM : 26.084
  • Dans le monde : 1.707.265
Coût depuis 2001 en millions de $ (vu au 04/12/2025)
  • En France / DOM : 95.441
  • Dans le monde : 5.106.048
Accès à la BD CATNAT
Statistiques en temps réel

CATNAT SUR X

F.A.Q Actualité des catastrophes naturelles

Questions fréquentes relatives à la veille d'actualité des événements

A quand remonte l'historique du recensement des événements répertoriés sur le site ?

Comment rechercher un événement précis ?

Comment sont diffusées vos informations en dehors du site internet Catnat.net ?

Est-il possible de se créer sa propre veille personnalisée d'actualité ?

Quel est le tarif d'une veille personnalisée d'actualité ?

Quelle est la fréquence de mise à jour des informations sur les événements ?

Quelles sont les sources utilisées pour le référencement des événements ?

Quels sont les critères entrant en compte pour qu'un événement soit référencé ?