Dernière mise à jour : le 05/12/2025 à 08:36
icône Logo CatNat s'abonner

ALERTES EN COURS

  • 04 au 13/12 : alerte aux fortes pluies du centre au Sud-est du Brésil
  • 04 au 07/12 : alerte vague de froid pour le quart Nord-Ouest des USA et le Québec
  • 02 et 03/12 : alerte aux fortes pluies et chutes de neige dans le Sud-Est

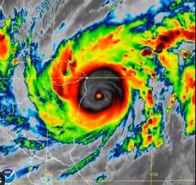
 12/11: la tempête tropicale Eta a de nouveau touché terre dans le Nord-Ouest de la Floride et a pris la direction de la Géorgie et des Carolines en s'affaiblissant mais en déversant de très fortes pluies qui ont causé des inondations.

S'identifier ou s'abonner pour lire la suite

Dernières actualités des risques

Newsletter CATNAT Info

Recevez GRATUITEMENT tous les samedis les articles publiés durant la semaine écoulée grâce à notre lettre d'information "CATNAT Info"

Statistiques base BD CATNAT

Nombre d’événements recensés depuis 2001 (vu au 04/12/2025)
  • En France / DOM : 2.183
  • Dans le monde : 22.744
Nombre de victimes recensées depuis 2001 (vu au 04/12/2025)
  • En France / DOM : 26.084
  • Dans le monde : 1.707.175
Coût depuis 2001 en millions de $ (vu au 04/12/2025)
  • En France / DOM : 95.441
  • Dans le monde : 5.101.188
Accès à la BD CATNAT
Statistiques en temps réel

CATNAT SUR X

F.A.Q Actualité des catastrophes naturelles

Questions fréquentes relatives à la veille d'actualité des événements

A quand remonte l'historique du recensement des événements répertoriés sur le site ?

Comment rechercher un événement précis ?

Comment sont diffusées vos informations en dehors du site internet Catnat.net ?

Est-il possible de se créer sa propre veille personnalisée d'actualité ?

Quel est le tarif d'une veille personnalisée d'actualité ?

Quelle est la fréquence de mise à jour des informations sur les événements ?

Quelles sont les sources utilisées pour le référencement des événements ?

Quels sont les critères entrant en compte pour qu'un événement soit référencé ?