Les super typhons seront-ils plus nombreux dans un contexte de réchauffement climatique ? h1>
- Catégorie : Veille changements climatiques
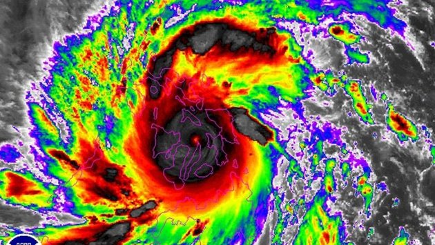
Comme après chaque catastrophes naturelles majeures d'origine climatique, nos sociétés en viennent a se poser les inévitables questions : y aura-t-il de plus en plus de typhons comme celui qui a dévasté les Philippines en raison du réchauffement climatique ? Ce typhon surpuissant est-il lié au réchauffement global ?
s'abonner





















